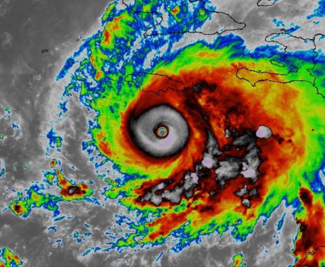
Hurricane Melissa has achieved near-perfect symmetry and is currently located approximately 115 miles southwest of Kingston, Jamaica. The storm is situated to the south of the island, raising concerns for the region.
As of now, there are no reports of immediate impact on Jamaica, but the proximity of the hurricane could lead to changes in weather patterns and conditions in the area. Authorities are monitoring the situation closely.
For further context on recent developments, related coverage highlights ongoing political issues that may affect emergency response efforts in the region.
Residents are advised to stay informed through local weather updates as the situation evolves.








