
Over 1,300 dead and 800 missing in Asia floods
"Breaking: Over 1,300 dead and 800 missing in devastating Asia floods. Discover the latest on rescue efforts and the urgent need for climate action."
Climate change action and environmental protection

"Breaking: Over 1,300 dead and 800 missing in devastating Asia floods. Discover the latest on rescue efforts and the urgent need for climate action."

"Breaking: For the first time in a decade, the U.S. hurricane season wrapped up without landfall. Explore the factors behind this unprecedented event and its climate implications."

"Fervo Energy reveals how geothermal energy is shifting from niche to necessity. Discover the latest innovations enabling widespread geothermal production and its future impact."

"Iran launches cloud seeding operations today to combat its worst drought in decades, aiming to boost rainfall in East and West Azerbaijan. Discover the implications."

"Breaking: An Arctic freeze is set to sweep across 13 states next week, potentially shattering cold records from the 1800s. Learn how this historic weather event will impact millions."
"Watch as a passenger captures Hurricane Melissa from 30,000 feet on October 31, 2025. This stunning footage reveals the storm's power and scale."
"Breaking: Hurricane Melissa makes landfall in Cuba as a Category Three storm on October 29, 2025. Watch exclusive footage of the storm's impact and learn more."
"Watch as a powerful storm surge hits Frenchman's Bay, Jamaica, on October 28, 2025. Discover the impact on nearby Bigwoods, just 4.8 miles inland."

"Critical warning: As Hurricane Melissa approaches, NHC predicts wind gusts in Jamaica's hills could exceed 250 mph. Learn about the potential devastation and safety measures now."
"Breaking: Hurricane Melissa makes landfall near Treasure Beach, Jamaica, with winds reaching 185 mph. Discover the latest updates and impact of this powerful storm."

"Breaking: Hurricane Melissa is set to make landfall in Jamaica with devastating 185 mph winds. Urgent preparations are essential as the storm intensifies."

"Breaking: Hurricane Hunters confirm a staggering 893 mb pressure in Hurricane Melissa's eye, marking it as the fourth strongest storm in Atlantic history. Discover the implications now."

"Breaking: Google confirms plans to restart Iowa's Duane Arnold nuclear plant by 2029, securing 600 MW of carbon-free power for its expanding AI data centers."

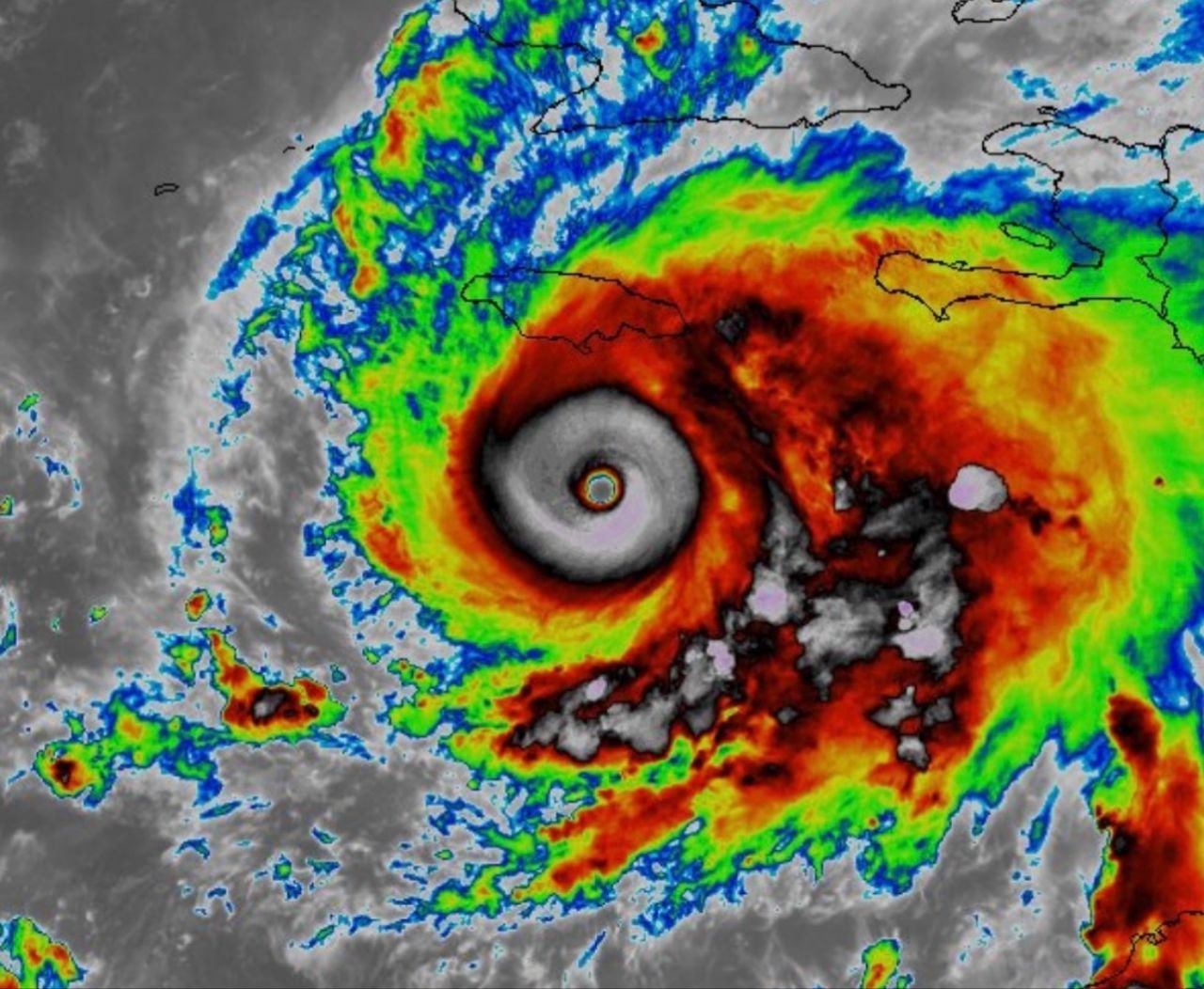
"Breaking: Hurricane Melissa achieves near-perfect symmetry, just 115 miles from Jamaica. Stay informed on potential weather impacts and regional safety measures."

"Breaking: Hurricane Melissa, a powerful category 4 storm, approaches Jamaica with potential to strengthen before landfall on Tuesday. Stay informed with the latest updates."

"Breaking: Hurricane Melissa approaches Jamaica as a category 4 storm, with potential to strengthen to category 5 by October 28. Residents urged to prepare for impact."

"Breaking: U.S. Navy orders evacuation of non-essential personnel from Guantanamo Bay as Storm Melissa approaches. Discover the latest on safety measures and logistics."

"Breaking: Hurricane Melissa is set to impact Jamaica with Category 4+ conditions. Residents face days of torrential rain and winds—prepare now for the storm's arrival."